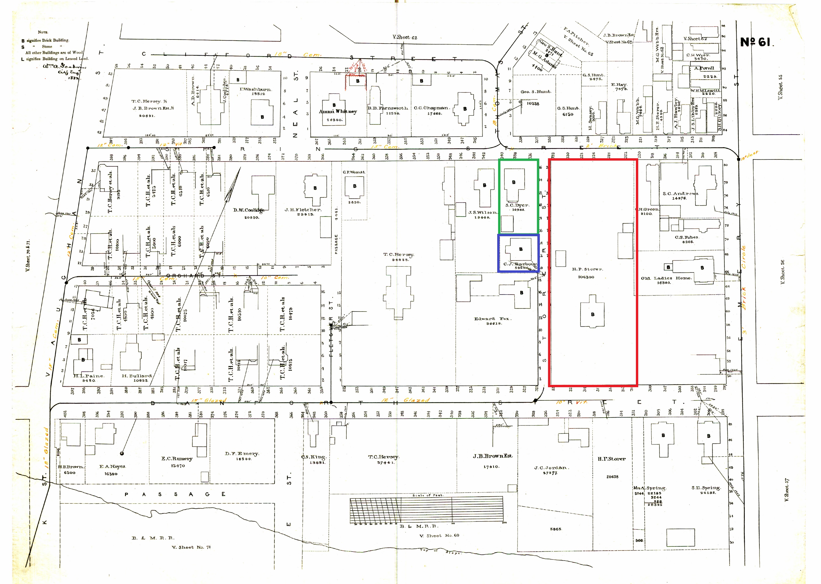
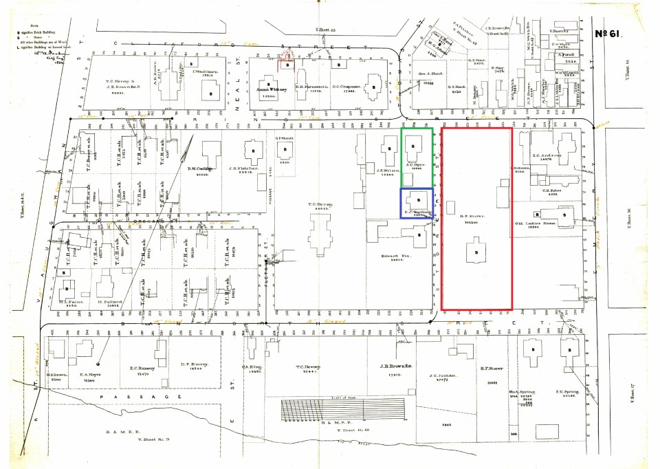
15 Storer Street_1882 Map ← Previous Next → 1882 Moulton map showing the 3 properties in this article. Portland Public Library Digital Commons