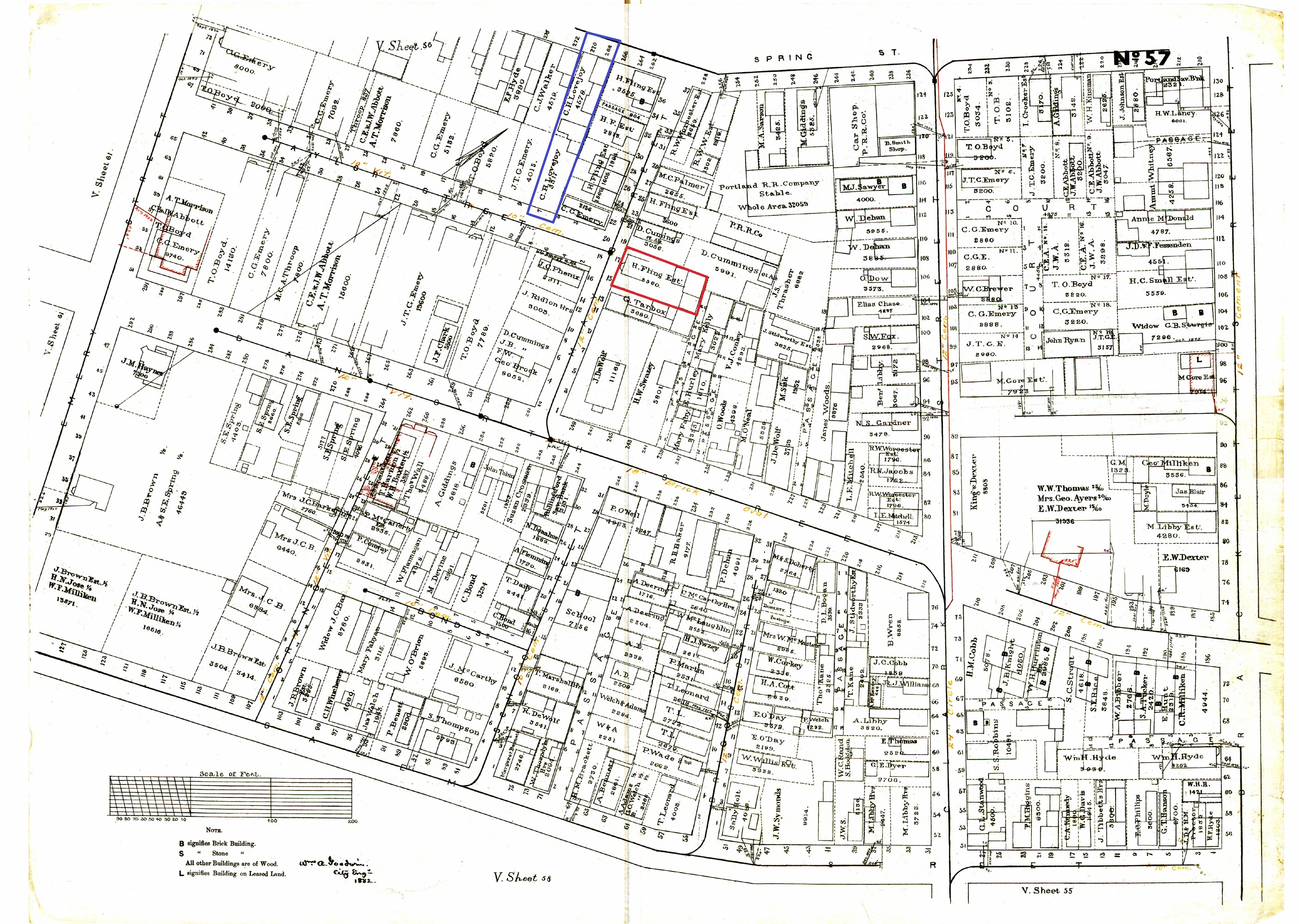
17 May St_1882 ← Previous Next → 17 May Street, in Red, on the 1882 Moulton map of Portland. Portland Public Library Digital Commons.