Built in 1898-9 for Samuel D Plummer.
A substantial Queen Anne / Colonial Revival in the Munjoy Hill neighborhood.
“Has Samuel D Plummer, ex-sheriff of Cumberland Country, ex-member of the legislature, put his foot in it”
Portland Evening Express
July 29, 1903
Samuel Plummer was a controversial man. Even among the members of his own political party, he was controversial. But, that’s getting ahead of things.
Samuel Davis Plummer was born in Raymond in 1857. The Chace map for that year gives us 2 possible notations for Samuel’s family. The first, near the shore of Panther Pond, is “A Plummer”. Samuels parents were Alvin & Ellen so this seems possible. But, when tied to the 1850 and 1860 census, the “Davis – Plummer” notation seems more likely. In 1850, Alvin was living with Samuel & Hannah Davis in Raymond. He was 23 and farming alongside Samuel. Samuel was Hannah’s second husband, William Plummer, Alvin’s father, died in 1828. The Plummer and Davis families would continue to live together, even through moving to Scarborough, until Samuel and Hannah passed in 1873 & 1878 respectively. Alvin Plummer died in 1888 and Ellen , in our subject house, in 1904.
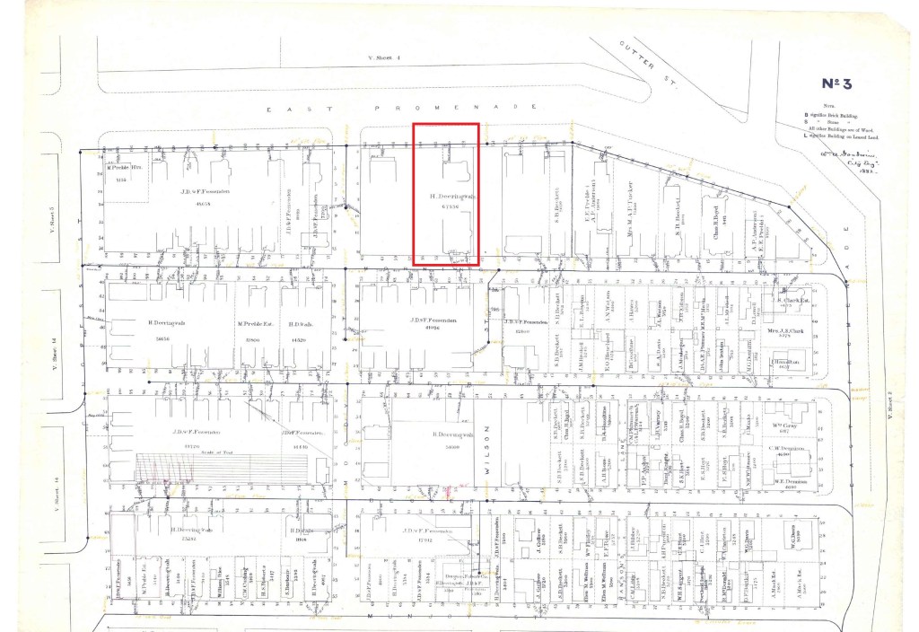
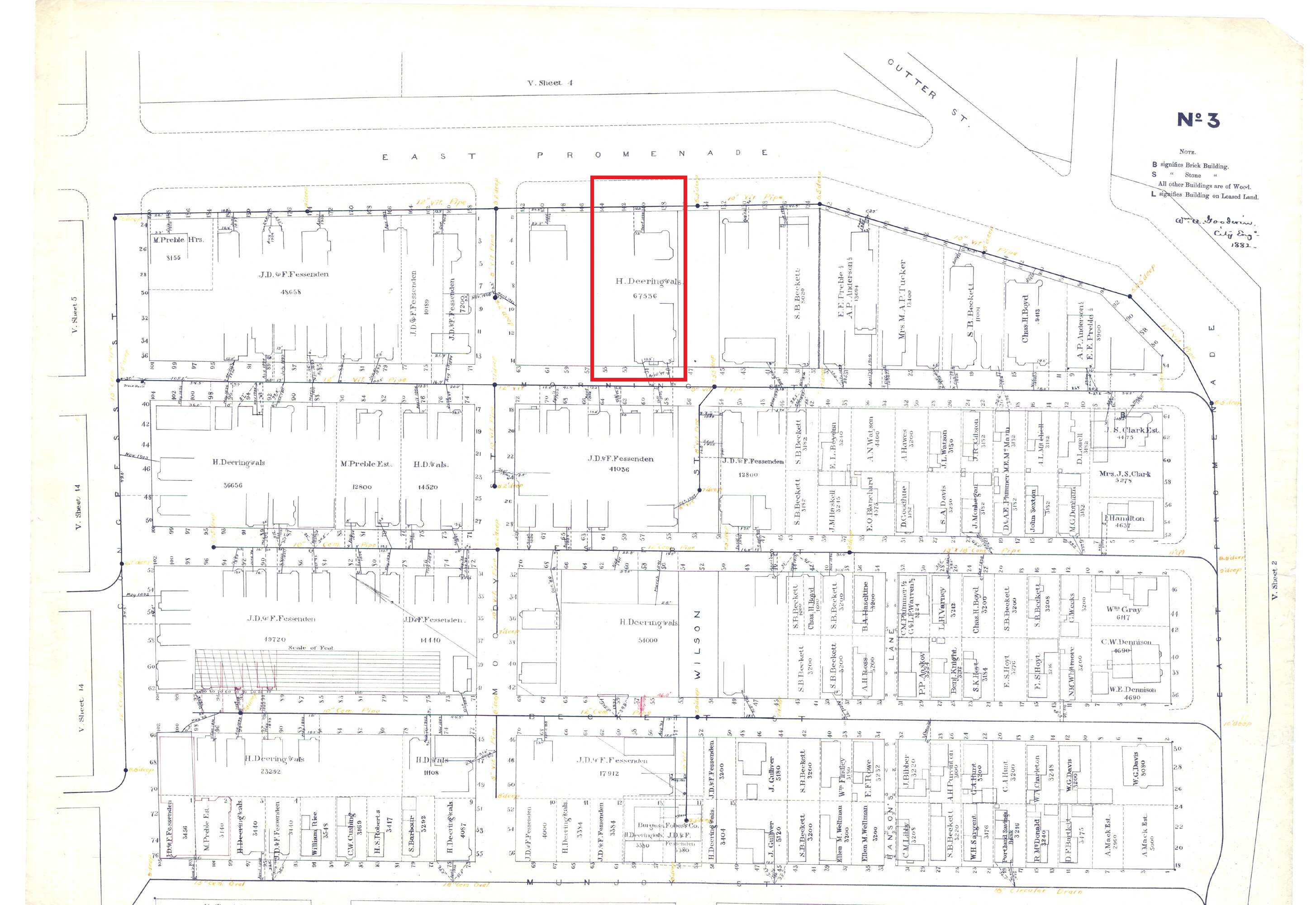
140 Eastern Promenade is 39′ wide on the Prom and 43′ deep along Morning Street. It is 2.5 stories tall and is built on a center hall/stair floorplan. Although it does have a large footprint, the emphasis is on height. Although there certainly was an architect involved in the design, I can find no attribution.
Samuel Plummer purchased a lot that ran from Eastern Promenade to Morning Street from members of the Deering family in 1897. It was over a year later when he received a permit to build out subject. When he received his permit, he also applied to the city council to have a stone sidewalk installed on the Eastern Promenade side and a brick sidewalk on the Wilson Street side of his property.
On Morning Street, he constructed the building on the corner of Morning & Wilson first. This may have been concurrent with our subject’s construction. While photographing the house, I met the owner who informed me that both buildings shared the heating plant in the apartment building. Plummer later built the brick building at 55 Morning Street. In 1899, he purchased the land on the southeast side of Cumberland Avenue between Merrill and Lafayette Streets. On the, he built the 4 buildings, all currently in yellow, that we see today.


Samuel Plummer lived in Scarborough prior to building our 140 Eastern Promenade in 1897. The Plummers had been farming on the Nonesuch River and the Scarborough Marsh since the early 18th century. Samuel farmed, raised vegetables and pigs while harvesting hay and marsh grass. He served in various roles including tax collector before becoming a deputy sheriff in 1890. He taught grammar in Cape Elizabeth for 10 years.
Maine Memory Network
Samuel Plummer and Alice Haven Witham married in August of 1892. Alice was born to Ira and Maria Witham in Portland, in 1865. Ira Witham was born in 1833 and grew up on a farm in Raymond. Maria was born to Ebenezer and Mary Libby in Scarborough, in 1833. Ebenezer Libby owned Nonesuch Farm which abutted the Plummer property along the Eastern Railroad. Samuel & Alice Plummer had 2 children, Philip in 1894 and Dorothy in 1899.
The Wilson Street facade of our subject shows an extravagant detail and craftsmanship. From the pedimented second floor window to the dentiled and bracketed frieze and the different wall coverings, It is a lesson in the Queen Anne Style. The shingles on the second floor are particularly attractive being cut and applied an a saw-tooth pattern. The porch columns and rails are Colonial Revival.
In 1891, while courting, Samuel and Alice Plummer were involved in an accident while returning to Portland from Yarmouth after dark. They were near the railroad depot where there was a train stopped. The crossing gates, which should have been lit, did not appear to be down. Seeing this Samuel started to cross. The gate was in fact down and it hit the front of the carriage, then Alice & Samuel. The couple was knocked off their seats into the rear of the carriage. News reports of the time stated that they were ‘not badly injured’. It does not appear that the railroad paid them any recompense.
In 1894, Samuel D Plummer was elected Cumberland County Sheriff. His nomination by the Republicans was not unanimous and took a couple of ballots. It seems he may have stepped on a few feet during his tenure as deputy. In 1898, after his term as sheriff expired, he was elected to the Maine House of Representatives. He served one term. When he was name was offered for a second term in 1900, he asked that his name be taken out of consideration.
In 1897, Samuel Plummer bid on a 3 year contract to remove offal/swill from the city. Although he was one of the highest bidders for the contract at $6000.00 a year, he was awarded the contract at $4,000.00. In 1900, when the contract was up for renewal, it was noted that he did not perform the collection himself but had sub-contracted the work to 2 separate parties and supposedly made $2,000.00 profit on the trade. It was also stated that some 3000 pigs were fed off this material. Although it was suggested that the city sell the material, Plummer received a renewed contract at a rate of $3,450.06 a year. Plummer was required to employ “at least 7 wagons painted blue or green and suitably lettered”. The contract also allowed for termination at any time the provisions were not met.
The carriage house for our subject, accessed from Wilson Street, is a pleasant structure that is in keeping with the style of the main house. It is well cared for and seems to be in great shape.
Oddly, Maine Memory Network catalogued it as 49-57 Morning Street.
in 1903, when Samuel Plummer’s contract with the city of Portland for collecting offal/swill expired, the controversy noted in the opening quote came to the fore. It was disclosed that, while Plummer was being paid by the city for this service, he was paying Maine General Hospital for taking away their swill. Not only that but, a provision in his contract with the city allowed him to file charges against anyone else picking up the materials within city limits. Which he did. In the end, his contract was renewed without the provision allow for charges against others.
Sometime around 1913, the earliest advertisement I can find, Samuel D Plummer founded Maine Tire And Auto Supply. What sparked this is unclear but the family ran it for 30+ years.
Samuel D Plummer died of heart disease in 1917. Alice lived here until her death in 1930. Philip Plummer died in 1973 and Dorothy, the last Plummer to live at 140 Eastern Promenade, died in 1994. The current owners purchased the property from her estate in 1995.
140 Eastern Promenade is listed as a single family residence. The condition is excellent.
If you like what you just read, please consider buying me a coffee.
























1857 Chace map of Cumberland County. Library of Congress



Sun, Feb 08, 1914
Newspapers.com














