Built in on spec 1871 by William Burrowes
A substantial Second Empire Double House in the West End Historic District
They had all the ‘modern conveniences’ and frescos by Charles J Schumacher.
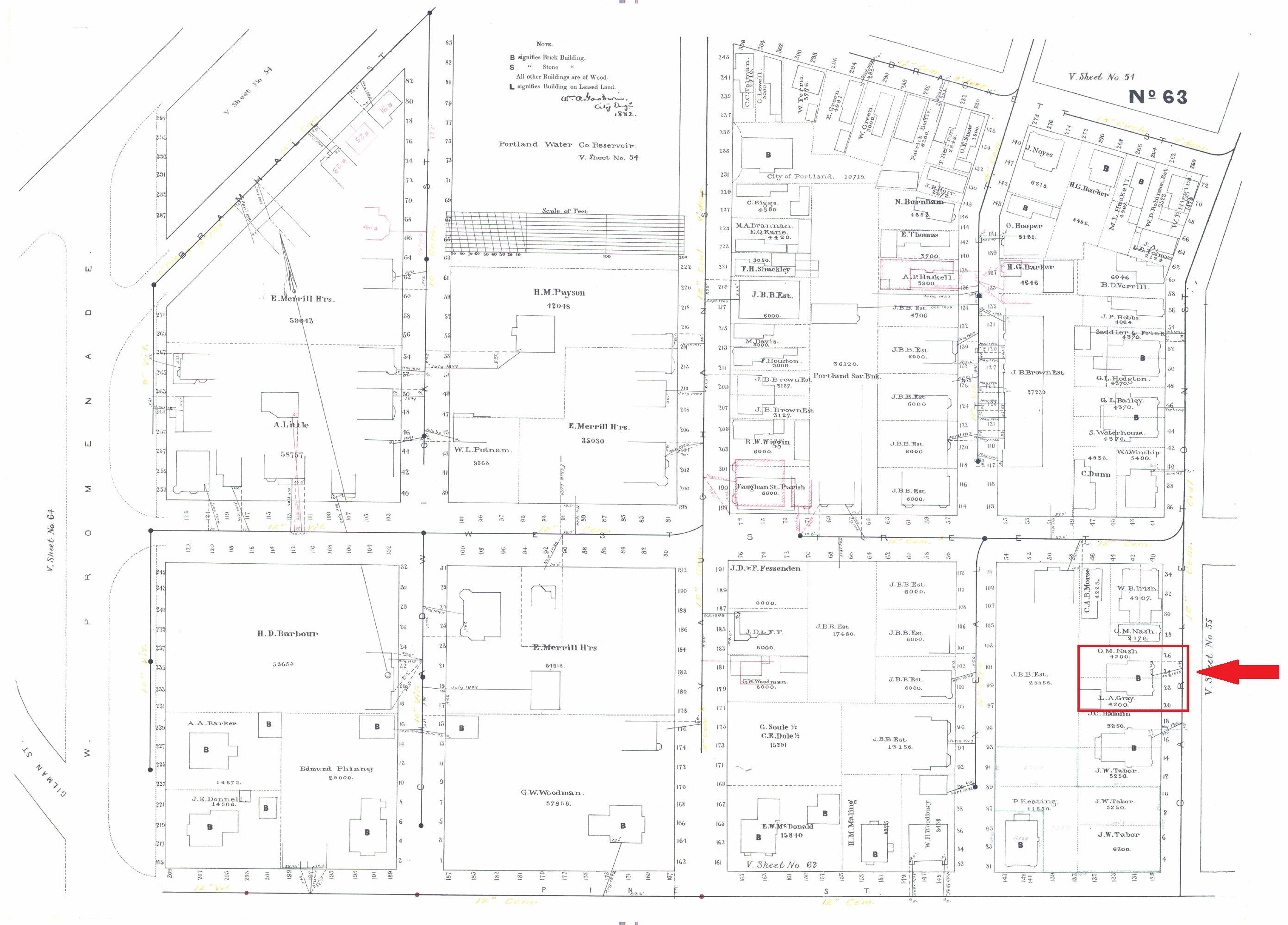
William Burrowes was ‘leveraged’. Having purchased the land for 22 Carleton Street from John & Philip Brown, of course, in November of 1870, he immediately took a mortgage from them for $2800.00 with interest, how much interest was not on the document from what I can see. This note was payable in one year. On the same day Burrowes signed the documents for the note, he also signed a pair of mortgages with the city of Portland for $3500.00 each. Unlike the note with the Browns, which was collateralized with the land, the notes with the city were collateralized with the buildings and the land. These were to be paid in installments starting 5 years after the signing of the document. Interest was 7.3% and was payable semi-annually.
What our Mr. Burrowes built measures 42′ on the street and 32′ deep. A symmetrical 36′ by 28′ ell is at the rear. There are two full stories with a third in the garret. The windows are an interesting mix. The first floor bay windows have a fattened arch top with flat tops on the second floor. The second floor windows above the entry are tall and quite narrow for their height. Lastly, the ‘dormer’ windows are simple units with what appear to be original sashes. These windows are topped with lunette panels the like I have yet to see anywhere else in the city. In some ways, the design reminds me of the work of Thomas Cummings but 22 Carleton has no confirmed attribution.
William Burrowes was born in Ireland in 1838. He emigrated to the US with his family in 1865 and married Mary Adelaide Baker of Portland in 1868. William and his brother John became heavily involved in development of the West End after the Great Fire. In the late 1870’s, the Burrowes Brothers partnered with the Doten Brothers to mill building stock to order for their own projects and for other builders. The Burrowes Brothers advertised for carpenters and builders throughout the 1870s and 1880s.
The first part of 22 Carleton to be sold was the left side, or #22, in June 0f 1871. The buyer was Levi Gray. Levi was born on a farm in Lincklaen New York in 1830. He graduated from Oberlin College in 1858. It is likely that he met his future wife, Lucia Tyrrell, while at school as she gave her birth location as “Ohio”. They came to Portland around 1865 when Levi was working for Bryant & Stratton Business College. In time, he purchased to local branch and renamed it the Portland Business College later Grays Business College. My maternal grandmother graduated from, and may have taught at, Grays Business College. The Grays had a daughter, Ella, and a son, Frank. Frank became a partner with his father and ran the college after Levi’s death in 1896.
In August, a sheet metal and iron dealer named Oliver Nash purchased 24 Carleton from William Burrowes. Nash was born in Raymond Maine in 1825. He came to Portland around 1845 and started working in his brother Josephus’ tin plating and stove shop on Fore Street. In time, Oliver and his brother Daniel succeeded Josephus in the business. He married Harriet Guilford, the 19 year old daughter of a distiller, in 1848. They had two daughters, Annie and Jennie. Jennie died before her first birthday. Harriet died of cancer in 1877. In 1879, Oliver married Lucy Low who was 26 years old and originally from Bangor. They had 2 children, Franklin and William. Oliver Nash died on November 5 of 1891 from complications of a stroke suffered 2 weeks prior.
Levi Gray had transferred 22 Carleton Street to his wife Lucia in 1873. As regular readers will no doubt note, this was common in the period to insulate the family home from any financial issues that might arise in the husbands business dealings. After Levi’s death, she lived here until 1897 when she sold and moved in with Frank and his family on Coyle Street. Lucia Gray died in April of 1915.
After Oliver Nash’s death, 24 Carleton Street was sold Ellen Littlefield whose husband, Henry, was a wholesale flour and grain dealer. The Littlefield family lived here until 1904 when Ellen sold the property to George B Morrill. In 1905, Morrill purchased 22 Carleton Street from James Hamblen who had purchased it from William Mason in 1897. Mason had purchased it from Lucia Gray that same year.
George B Morrill was the president of the Burnham and Morrill Company. Born in Portland in 1868, he married Margaret Elwell of Deering in 1897. They had a daughter Catherine and a son, Charles. They lived here until 1919 when John B Porteous purchased it. During the Morrill’s ownership, John Calvin & John Howard Stevens were hired to make alterations which included adding the second-floor bays and a new entry.
John Porteous was the vice-president of the eponymous clothing store and Louis‘ older brother. John died in 1923 and the age of 41. His heirs sold our subject to Royal Realty in 1937. Royal sold it to JB Brown and Sons in 1938.
As 22 Carleton was apartments from 1937 to today, let’s look at some of the tenants.
- Dorothy & Josephine O’Hare. The O’Hare sisters were born on Munjoy Hill to a laborer named Martin O’Hare and his Irish born wife Ellen. Dorothy was the eldest. She worked as a buyer for a clothing store. Josephine was a secretary at the Portland Press Herald.
- Truman & Ruth Emery. The Emerys were from Maine and Mass respectively. He was a wood turner in a lumber mill and she kept the books for a hardware store.
- Marguerite Kerr. Marguerite was born in Portland in in 1890. Her parents were Scotch-Irish immigrants. Her father, William, was a mariner. She worked in various roles at Westbrook Junior College.
- Charles & Albertine Feury. They were Maine natives who had married in 1938. They had 2 sons. Charles managed various businesses including a print shop and beverage distributor. Albertine works as a bookkeeper for the local AAA office.
- Preston & Margorie Legge. Preston was a native of New Brunswick and Marjorie was a Portland native. They married in 1941. Preston was a graduate of Portland High and Grays Business College. He was a manager for Maine Savings Bank.
- Katherine Connor. Katherine was an assistant in the offices of the Grand Trunk Railroad.
- Esther Coffin. Esther was a secretary for the Cumberland Savings & Loan Association on Middle Street.
22 Carleton Street is listed as a 5 to 10 family apartment building. The condition is good.









Another great article! Really enjoy your portraits of the homes and the Portlanders who dwelled therein.
LikeLiked by 1 person
Love these stories!!! Can’t thank u enough!!
Sent from my iPhone
>
LikeLiked by 1 person
Thank you so much for another Burrowes story! William is my great-great-uncle.
LikeLiked by 1 person
Is Oliver related to Freedom Nash of 146 Pine Street a few blocks away?
LikeLike
He was Freedom’s elder brother.
LikeLike