Build date unclear
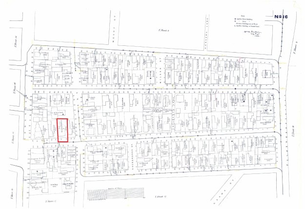
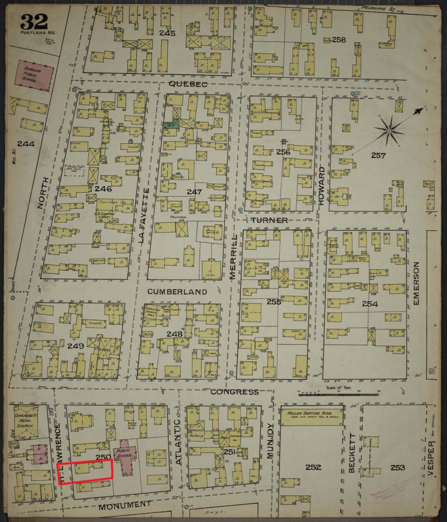
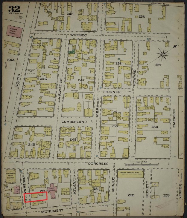
A Greek Revival former store and residence in the Munjoy Hill Historic District.
The odd arrangement of windows and doors on the first floor facade are striking
The build date is vague with deeds listing buildings then not listing buildings. When Charles Richardson purchased the property in 1855, the deed from Thomas Warren did not mention any buildings. Nor did it say how or when Warren had acquired it. It did, however, note that the property had been the “late residence of Seth Winship, deceased, and is subject to his widow’s rights of dower.”
Seth Winship was a merchant who lived for many years on India Street near the corner of Congress. In 1849 he put that property up for sale and the 1850 city directory found him living on St Lawrence with his second wife Mary Ann, his first wife, Abigail, having died in 1836, and his 2 adult children Eunice & Charles. Seth died in May of 1853 and did not leave a will. A year later, our subject was sold at auction to Thomas Warren. That deed did include ‘buildings there on’. Interestingly, the tax assessment sheets for 89-91 St Lawrence from 2025, 1950 & 1924 all give a date around 1855. I’m inclined to agree with the date, but I don’t think what is here now is the same. In the end, it does not change the story.

Much of the early history of 89-91 St Lawrence Street comes from a 1923 article about the long-time owner, William Hatch, whom we shall meet in a bit. The article states that this was a shoe shop and store for decades. The article mentions a few names of cobblers working out of our subject in the 1860s and early 1870s. Thomas Whiteman is the earliest in 1863-65 or so. William Randall followed Whiteman, but I found no record of anyone with that name as a cobbler in the period. Henry Hiltz came after Mr. Randall and he sold the business to William & Albert Hatch around 1873.


William Hatch was born in Durham in 1855. The family moved to Portland sometime around 1857 and settled on Atlantic Street. Anthony Hatch dabbled in several trades, including cobbling and working in the car repair shop of the Portland Company at the foot of the hill.
When William and Alfred Hatch bought the shoe business from Henry Hiltz in 1873, they didn’t buy the property. Hiltz never owned it. William Randall owned 89 St Lawrence Street from 1869 to 1878 when he sold it to Winthrop S Jordan for, as noted in the February 13th issue of the Portland Daily Press, $2100.00. Jordan was a ship chandler who lived on High Street. After his death in early September of 1883, his heirs sold it to William Hatch in May of 1884. During the period of owning the shoe business through purchasing the property, the Hatch brothers lived on Howard Street.

William Hatch married Annie Pruett in Portland in early June of 1885. Beyond the marriage record stating she was 23 years old and a resident of Portsmouth NH, Annie’s history is empty. The couple had no children. While running the shoe business, William pursued other interests including baking and candy making. The baking didn’t go anywhere but candy making did. His obituary noted he ran a retail and wholesale business.
The corner above presents us with a bit of a mystery that may tell us something of the history of the structure. The street side is built up from several pieces to form an odd pilaster that visually supports the entablature. The primary segment starts at the corner and underlies the pieces above. Although it appears flat, it is actually slightly convex. On this is, starting at the base, a plinth block with applied moldings on the edges. Next to this block, and filling the space to the corner, is a block about 24″ tall and cut off at an angle at the top. It seems to serve no purpose structurally or visually. Standing on the plinth is a panel that rises full height to the architrave. It, too, is not flat. It curves inward on the right side as can be seen at the intersection with the entablature.
This is a very odd arrangement that I have not seen before. The left side of the house has the portico with its accompanying trim. On this side, the first floor entablature is left hanging with nothing underneath it at all. On the second floor, the trim at the corners and the entablature are simple, flat panels that do not match the first floor. The windows of the second floor seem to be very high for the wall. All of this makes me wonder if the building was enlarged at some time. This isn’t just idle thought as, in 1888, William Hatch received a permit to build a ‘new wooden building’ on the site. I think Hatch kept the structure and facade of the original store and built a new, larger building around it.
The 1895 city directory if the first instance I can find of someone residing here. The Hatch Brothers were at 89 and Albert Hatch & Arthur Fowler were at 91. Fowler was a 31 year old sailmaker who had married in 1894. He and his wife had moved to North Street by 1896.
Albert Hatch was born in 1851. He married Sarah Miles in 1874. They had a daughter, Elizabeth. Albert worked with his brother in the shoe trade while serving as captain of the local fire brigade and as a the last city liquor agent. He resided here, on Howard Street and Deane Street in Riverton where he died in 1920.



William Hatch died in February of 1934 at the age of 89. In April, 89-91 St Lawrence Street was sold to Russian immigrants Charles & Ethel Leventhal. Annie Hatch lived at 91 until her death in 9141. Born in 1884 & 86 respectively, the Leventhals had arrived in the US in 1906 & married in Portland in 1907. Charles worked as a laborer before opening his own plumbing & sheet metal business. They had 4 sons. In 1947, 89-91 St Lawrence Street was sold to Saveria Baglivo. Saveria Seravo was born in Nola Italy in 1916 and came to the US in 1940 after marrying a Brooklyn native named Giovanni Baglivo in 1938. They lived in Brooklyn before coming to Maine prior to 1946 when she applied for naturalization. By 1951, when they sold our subject, the Baglivos had returned to Brooklyn.
In 1951, Fred & Patricia Rozzi purchased 89-91 St Lawrence Street from Severia Baglivo. The Rozzis were recently married. Fred was a WWII veteran. The Rozzis ran a market called “Freddie’s” at the corner of Congress & Atlantic Streets where the Munjoy Hill Neighborhood Organization is now located. The Rozzis moved to North Windham in the late 60s but owned our subject until 1980 when they sold to the current owner, who appears to have been a tenant.
89-91 St Lawrence Street is currently listed as a 4 family residence. The condition is very good.




























